新浪科技

卫星图像显示飓风Iota已加强为破纪录的5级飓风

cnBeta

关注

原标题:卫星图像显示飓风Iota已加强为破纪录的5级飓风 来源:cnBeta.COM

据外媒CNET报道,一个前所未有的大西洋飓风季仍在继续,因为2020年又迎来了一场破纪录的风暴。飓风Iota加强为本季第一个5级风暴,并正向尼加拉瓜登陆,在那里它可能会给这个已经从之前的4级飓风Eta中恢复过来的地区造成破坏。

美国国家飓风中心(NHC)警告说,当风暴于周一晚上到达尼加拉瓜时,中美洲部分地区将出现极端风、危及生命的风暴潮和洪水。

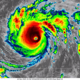
科罗拉多州立大学大气研究合作研究所(CIRA)周一分享了一张飓风及其搅动的云层的GIF。

世界气象组织在推特上发布了一张红外线视图,突出了风暴的漩涡中心。

飓风的持续风速必须达到157英里/小时(252公里/小时),才有资格成为萨菲尔-辛普森飓风等级的5级飓风,这是了解风暴破坏潜力的工具。“达到3级和更高的飓风被认为是主要的飓风,因为它们有可能造成重大的生命损失和破坏,”NHC说。

气象学家Philip Klotzbach将Iota描述为“有记录以来最新的大西洋飓风季5级飓风”,并引用了1932年11月8日被称为古巴飓风的风暴作为之前的记录保持者。

今年是史无前例的一年,因为已经用完了典型的大西洋飓风季风暴名称,并记录了有记录以来命名最多的风暴。

科学家们正在调查更强的风暴现象,并寻找与气候变化的可能联系。如果这种趋势继续下去,那么2020年可能不会长久地保持一个异常值。

加载中...