新浪财经

黄浦江边公园将开高档餐馆,号称人均五六百元?专家:公园要姓“公”

澎湃新闻

关注

近日,有市民向东方网•纵相新闻反映,在上海前滩滨江段的前滩休闲公园内,规划图纸上的“茶室”成了一家人均消费五六百元、拥有11间江景包厢的独栋高档餐馆。

东方网·纵相新闻调查发现,前滩休闲公园土地性质为公园用地,法规明令禁止设置高档餐馆等场所,而餐馆所在建筑原本被规划为茶室。同济大学建筑与城市规划学院景观学系副教授刘悦来表示,“公园姓‘公’,具有公共属性,配套设施首先应满足市民基本需求。”

对此,公园管理方回应称,该餐馆不存在“高档”一说,会辟出一半以上餐位推出“简餐”。然而纵相新闻在调查中发现,餐馆的实际情况并不符合管理方的“要求”。

现场实探:独栋餐馆坐拥11间江景包厢

前滩休闲公园位于前滩滨江的核心地段,东起前滩大道、南至上中路隧道、西至黄浦江、北至小黄浦江,是浦东前滩地区三大滨江绿地中首座开放的公园,占地面积约26万平方米。

3月9日,记者来到前滩休闲公园,从前滩大道的公园13号门走进去,很容易就见到了一幢颇具设计感的二层建筑物。此刻,建筑物内仍有装修工人,正对黄浦江的大门上方已挂上“九樽”两字招牌。

3月9日,施工人员在餐馆门口施工。

记者以顾客身份进入餐馆,一名自称经理的女子称,目前装修已近尾声,“老板意思等内部测试满意了再开,但这个月已经有老顾客预约了。”

随后,记者在服务员与经理的带领下参观了餐馆一楼、二楼全部11间包厢,每间包厢都是江景房,最大的一间可坐20人,圆桌、椅子、餐具、沙发、茶几等包厢标配均已就位。此外,二楼朝黄浦江一侧还有一个面积可观的露台,经理表示,露台后期可以定制订婚仪式、品牌活动、艺术表演、英式下午茶等活动。

餐馆二楼一间包厢内部环境。

记者注意到,在某点评网站上以“九樽”进行搜索,有一家同名的餐馆位于浦东滨江大道某商业体内。对此,经理表示,“是同一个老板,厨师都是那边调来的,这里都是包厢,大厅只有6个卡座。”而滨江大道的“九樽”人均价格468元,同样主打江景,还被平台评为“陆家嘴本帮江浙菜环境榜”第三名。

在一个名为“樽宴九樽”的微信公众号上,记者注意到该品牌实际上已有2家高档餐馆,均位于浦东,另一家名为“樽宴”,已连续两年入围“黑珍珠”,人均达到985元,位于浦东花木一栋独栋别墅内。

此外在该公众号的一篇推文上,也已有了九樽前滩店的宣传。

对此,经理补充道,前滩店稍显不足的是没有直达地下停车场,私密性有欠缺;此外,餐馆门外便是前滩休闲公园的网红打卡点粉红沙滩,周末游人如织,不过经理对此表示,“粉色沙滩之后可能要移走,餐厅还是比较安静的,晚上这里人也不多。”经理还透露,开业初期暂时未设最低消费,人均消费打完折在五六百元。

餐厅所在建筑运用了大面积玻璃幕墙,二楼还有视野广阔的露台。

项目规划:“茶室”摇身一变成高档餐馆

纵相新闻记者注意到,除了餐馆所在的建筑物,附近还有两幢设计风格较为一致的建筑,目前仍处于空置状态。

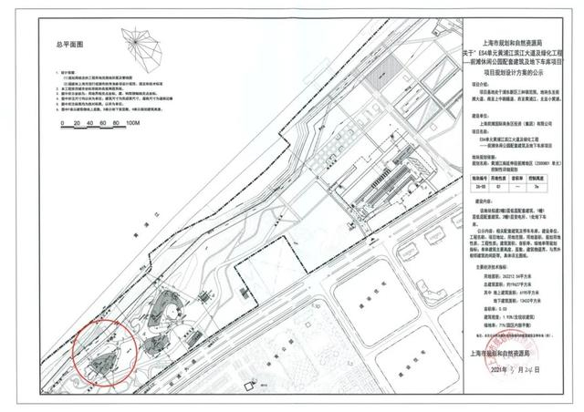
而这一组建筑实际上都源于2021年前滩休闲公园的改造工程。在上海市浦东新区人民政府官网上,可以查到一份名为《ES4单元黄浦江滨江大道及绿化工程——前滩休闲公园配套建筑及地下车库项目》的规划设计方案,发布时间为2021年3月24日,建设单位为上海前滩国际商务区投资(集团)有限公司。

项目设计公示 图源:上海市浦东新区人民政府官网

文件中明确该地块拟建2幢2层低层配套建筑、1幢1层低层配套建筑、2幢1层变电所、1处地下车库,建设用地性质为G1公园用地,建设工程性质为公园配套建筑。

而根据住房和城乡建设部颁布的《城市用地分类与规划建设用地标准》GB50137-2011,G1为公园绿地,即向公众开放,以游憩为主要功能,兼具生态、美化、防灾等作用的绿地,包括综合公园、社区公园、专类公园、带状公园、街旁绿地。

《上海市公园管理条例》第十三条明确,任何单位和个人不得侵占、出租公园用地,不得以合作、合资或者其他方式,将公园用地改作他用。

公园设计方案,红圈为餐馆位置。

而对于公园内的配套建筑,在前文提到的改造项目公示平面图中,餐馆所在的2号楼实际被标注为茶室、活动馆。记者查阅了住房和城乡建设部发布的《公园设计规范》GB51192-2016,公园设施项目主要分为游憩、服务与管理三种类型,不同陆地面积的公园确实可设置活动馆、茶座等建筑类设施;但在前滩休闲公园,这规划中唯一的茶室摇身一变成了高档餐馆。

住房城乡建设部发布的《城市公园配套服务项目经营管理暂行办法》中第八条明确,公园配套服务项目应以游客需求为导向,以大众服务为主,遵循公平、安全、优质的服务原则;第九条明确,公园配套服务项目经营不得设立私人会所,即改变公园内建(构)筑物等公共资源属性,设置高档餐馆、茶楼、休闲、健身、美容、娱乐、住宿、接待等场所,包括实行会员制的场所、只对少数人开放的场所、违规出租经营的场所。

管理方:要求取消“高档”概念,白天需提供简餐

对此,3月11日记者以市民身份致电12345热线,次日一早接到了公园管理方的回应。

一位自称是陆家嘴集团公园商业项目负责人的赵先生表示,餐厅消费并非人均五六百元,“我们要求餐厅取消‘高档’这个销售概念,白天是提供简餐的。政府部门也和我们提出过要求,公园所有的配套设施里面不允许只供应高消费的餐饮。”

“白天公园游客基本上都是市民大众,不可能销售一些高档的餐饮。”赵先生说,晚上可能有对象性、指向性地供应一些昂贵一点的菜品。此外,他还表示,餐厅一楼与二楼有散座,二楼有几间包厢,“散座数量大概是百分之五六十。”但实际情况,显然不符合管理的要求。

专家解读:公园姓“公”需维护公益属性

高档餐馆“闯”进公园绿地,对此同济大学建筑与城市规划学院景观学系副教授刘悦来接受东方网·纵相新闻采访时表示,十多年前上海的一些公园内也曾发生过类似情况,“公园姓‘公’,具有公共属性,这是很明确的,配套设施首先应该满足市民的基本需求。”

记者注意到,2012年上海多家媒体曝光了上海动物园、中山公园、共青森林公园内分别开设高端酒店的新闻。报道发出后,上海市绿化和市容管理局作出了反应,有的关闭、有的整改。

上海媒体曾报道过公园开酒店现象。

除此之外,2013年住建部官网发布《住房城乡建设部印发关于进一步加强公园建设管理的意见的通知》,要求各地开展公园运营管理专项检查,就公园中存在的出租公园房屋及设施设备给私人经营,违规建立为少数人服务的会所、茶楼等情况进行整改,尽快恢复公园的公共产品性质。此后,北京、广州、杭州、温州、福州、长沙、西安等多地开始了整治行动,高档的被整改,价高的被调低。

刘悦来表示,公园需要保持公共性,当然另一方面管理方也有运营成本压力,“不是说不能开设配套餐饮服务,而是需要维护公园的公益属性,首先提供满足大众消费需求的服务,这也是对公众的尊重。在这个基础上有余力再尝试提供多样化的餐饮服务,让大家有选择。”

而在整个前滩休闲公园范围内,记者注意到除了该高档餐馆,仅能看到数台自动饮料售卖机,此外并无其他基础、大众化的配套服务。

如此看来,在一个暂时还没有人均50元左右基础餐饮配套服务的公园里,设置独此一家人均500元的高档餐饮品牌,显然非常突兀,且不合法合规;期望管理方能够加强监管,落实政府部门及政策法规的要求。东方网•纵相新闻也将持续关注。

(原标题为:《黄浦江边休闲公园将开“高档茶室”,商家称人均五六百?专家:公园要姓“公”》)

加载中...