重磅!湖州中心城区17个老旧小区即将改造
湖州在线
2月18日,湖州市公共资源交易管理办公室发布了《湖州市老城区城市更新工程(历史文化街区保护提升项目)一湖州市老旧小区改造(一期)方案一施工图设计招标公告(公开招标)》。本次招标设计费估价约660万元。从发布的《老旧小区改造(一期)设计范围示意图》来看,此次改造涉及狮子巷小区、仪凤桥小区、乔梓巷小区、下塘小区、碧浪小区、吉北小区、吉南小区、金婆弄、苏家园、甘棠桥、洗帚弄、闻波兜、骆驼桥、马军巷、月河小区、南园一期、南园二期。其中闻波兜小区为未来社区提升设计改造。
项目概况与招标范围
招标项目建设地点:湖州市中心城区(月河街道、爱山街道、朝阳街道、飞英街道)。
工程规模:本项目涉及老旧小区改造共17个,总建筑面积386536平方米(其中:地上建筑面积386536平方米)。主要包括片区内老旧小区道路市政、建筑整治、基础设施、公共空间及智能化、未来社区提升等改造内容。
设计服务范围:中标单位实行设计总负责制,承担本项目相应设计阶段过程中所有的专业设计工作。具体详见设计任务书。
服务周期:自合同签订之日起至最终设计成果获得相关部门确认或审批,协助发包人进行工程招标答疑,做好后期配合服务直至完成竣工验收。
设计周期:设计人应根据项目开工日期,有效衔接当地办证报批程序,编制项目总体设计进度计划,合理安排各项设计工作的起始时间,且发包人有权根据项目实施情况调整后续设计文件提交时间(具体时间由双方协商确定)。各阶段设计文件提交要求如下:
1、老旧小区改造(一期):
1)确定中标后10个日历天内完成方案深化设计(需满足相关政府部门的报批要求);
2)招标人明确启动初步设计及施工图设计工作后20个日历天内提交初步设计及施工图设计文件;
3)其余:按招标人及项目进展要求提交。
2、闻波未来社区:
1)确定中标后10个日历天内完成申报方案设计(需满足相关政府部门的报批要求);
2)招标人明确启动实施方案设计工作后15个日历天内提交实施方案设计文件(需满足相关政府部门的报批要求);
3)其余:按招标人及项目进展要求提交。
注:以上设计工期不包含发包人确认时间及政府审批时间。
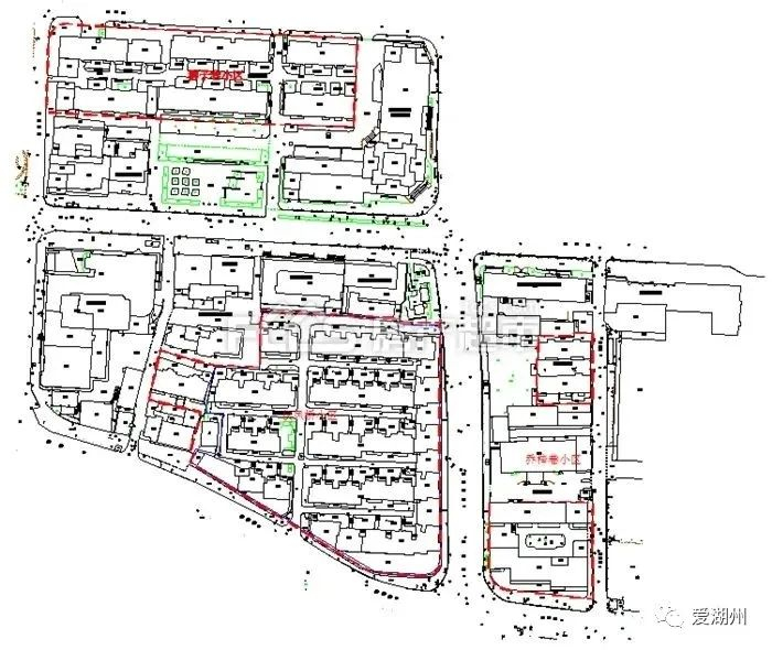
(狮子巷小区、仪凤桥小区、乔梓巷小区 改造范围示意图)
(下塘小区 改造范围示意图)
(碧浪小区改造范围示意图)
(吉北小区、吉南小区 改造范围示意图)
(金婆弄、苏家园、甘棠桥、洗帚弄、闻波兜 改造范围示意图)
(骆驼桥、马军巷 改造范围示意图)
其中闻波未来社区提升设计范围公示,实施单元范围东至东街、西至南街、南至新开河路、北至衣裳街,总用地面积约24.8公顷;规划单元范围东至东街、西至南街、南至莲花庄路,总用地面积约50.3公顷。闻波未来社区提升改造工程为“吴兴2022年十项民生实事”之一。
(闻波未来社区提升设计范围示意图)
来源:湖州市公共资源交易管理办公室
编辑:马纳 洪雨夏
责编:蒋莹