极毒、巨大、活的!张家港海关惊险一幕……
瞭望东方周刊
本文转载自微信公众号“都市快报”(ID:dskbdskb),原文首发于2021年11月20日,原标题为《极毒、巨大、活的!4米长巨型眼镜王蛇入境被截获,今天热搜第一!怎么进来的?怎么被发现?橙柿互动独家专访张家港海关》。

11月20日早上,#张家港海关截获4米活体眼镜王蛇#一度登上微博热搜第一。

11月20日早上,#张家港海关截获4米活体眼镜王蛇#一度登上微博热搜第一。
先来看个视频(可能引起不适,请谨慎观看)——
坤坤Emily :感谢张家港海关,因为你截获的蛇、蝎、蜈蚣、毒蛛都是我超级害怕的~
世界终杰 :救命,这些工作人员也太……我离它50米远都算是智勇大冒险了。
202111:还有点心疼张家港海关工作人员,一天天的都看到的什么玩意儿
木芙蓉rr:感谢张家港海关,经常经过,可不想看见这些小可爱逃出来溜达
七猫土土:一个近景,我人差点没了。
用什么冲浪名好呢:四米长眼镜王蛇……我光看文字就要裂开。
近日,南京海关所属张家港海关在进口木材口岸检疫监管过程中截获1条外来活体眼镜王蛇。该蛇体形较大,长约4米、成人手臂般粗 ,具有极大毒性。
海关查验人员现场截获活体眼镜王蛇。图/张家港海关
张家港口岸截获的眼镜王蛇。图/张家港海关
眼镜王蛇属于眼镜王蛇属,是世界上最大的毒蛇,也是世界上毒液量最多的毒蛇,它们性情凶猛,反应极其敏捷,是世界上最危险的蛇类之一,在国外主要分布在东南亚和南亚等国。该物种一旦进入国内,将会对人民的生命安全和国内的生态系统造成严重威胁。目前张家港海关已与相关部门取得联系,等待后续处理。
江苏省张家港口岸是我国主要的进口阔叶林木材集散地,由于许多木材原产地管理水平较低、处理条件落后,外来有害生物如蛇、蝎、蜈蚣、毒蜘蛛等在进口木材检疫监管过程中,频繁被截获。今年1—10月,张家港海关在进口木材中截获的各类外来有害生物高达320余种、1.2万余种次。南京海关将加强对同来源地及同类货物的检疫查验及监管,防止外来生物及动植物疫情的传入,确保口岸国门生物安全。
记者独家连线张家港海关,抓捕时这条蛇不断喷射毒液,接下去将怎么处理?
20日上午,橙柿互动记者独家连线张家港海关。
张家港海关一位工作人员说,这批进口原木是从东南亚过来的,这批集装箱有些是拼装的,所以不清楚具体是哪个国家。“送到我们海关这边之后,我们按照流程先对进口原木进行了熏蒸。”
熏蒸之后,一线工作人员到了集装箱,准备开箱做进一步检疫检查,结果在一个空集装箱底下看到了这条蛇,很凶。
“我们推测,这条蛇是跟着原木一起过来的,发现的时候,已经从原来的集装箱里跑出来了。”
该工作人员说,至于这条蛇从东南亚怎么装到集装箱的,这个就不太清楚,“但我们这边了解,一些进口原木原产地,管理水平比较低,装箱之前没有过多的灭害处理,甚至是原始森林里工人把原木砍了之后就直接装箱了,所以很多外来生物就这么被带进来。”
比如一些外来的蛇,是因为进口木头里面是空的,蛇本来就在这个木头里生活的。
这次发现的眼镜王蛇,当时跑到集装箱里后,海关工作人员初步判断这条蛇是带毒的,现场四名海关人员以及码头三四名工作人员,拿着捕蛇器夹住了这条蛇的七寸。抓的时候,这条蛇不断喷射毒液,“这个抓捕过程还是很危险的,一般的人也不会去抓,我们现场抓的人,以前都抓过蛇。”
“我们这边进口的原木,原产地原始生态比较好,所以我们海关截获的外来物种还是很多的,尤其是蛇、黑寡妇等,前阵子我们也抓了外来的眼镜蛇,所以我们码头专门有抓蛇很厉害的高手吧。”
“这条蛇现在暂时在我们张家港海关的一个实验室,装在一个透明的、透气的箱子里,因为这条蛇含毒量非常大,我们也不敢轻易靠近,而且最长能达到5米多,我们抓的这条蛇也有4米多了,体型也算比较大了,我也看到了这条蛇,比视频里看到的动作更加凶猛,稍微靠近就可能主动攻击,所以我们对蛇也进行了捆扎。”
目前,张家港海关联系了林业局等相关部门,等待专业部门来处理,“以前截获的毒蛇等外来物种处理,有些是外来入侵的,国内又没有的物种,后续专业评估后,有些是无害化处理,或者作为科学研究,还有一种是送到动物园等。”
这不是张家港口岸第一次发现毒蛇:2017年,张家港出入境检验检疫局在对一批来自赞比亚的木材进行查验时,截获一条1.5米以上的毒蛇。当时,提到是“张家港口岸截获的迄今最大毒蛇”。
这位工作人员说,这次海关截获的眼镜王蛇,在国内来说是比较罕见的,也是张家港海关近年来截获最长的一条眼镜王蛇。
张家港海关多次截获外来有害生物
除了这次截获的眼镜王蛇,我们来看看张家港海关还截获过哪些外来有害生物——
“棕黑寡妇”毒蜘蛛
今年8月,张家港海关查验人员在对一批入境集装箱运木材进行现场检疫时,截获一头腹部具有红色沙漏状图案的蜘蛛,后经实验室判定为寇蛛属棕黑寡妇,现已对该批货物开具《检验检疫处理通知书》,实施熏蒸除害处理,有效防止了外来有害生物入侵。
寇蛛属蜘蛛俗名“黑寡妇”,性格凶猛,富于攻击性,其体内分泌的神经毒素毒性极强,属高危生物,是目前已知所有蜘蛛种类中毒性最大的。
非洲大蜗牛
2020年,张家港海关在一批进口木材中截获外来有害生物非洲大蜗牛。已对这批货物实施熏蒸除害处理。
张家港海关工作人员在对一批来自非洲安哥拉的集装箱运木材进行现场查验时,截获一头具有玛瑙花纹的大型蜗牛,随即进行取样送检。
经鉴定确认,该蜗牛为非洲大蜗牛,是纳入《中华人民共和国进境植物检疫性有害生物名录》的外来检疫性有害生物。
非洲大蜗牛是中大型陆栖蜗牛,其可危害包括农作物、林木、花卉等在内的500多种植物。同时,这一物种还是许多人畜寄生虫和病原菌的中间宿主,一旦误食危害极大。
猫栉首蚤
2019年,张家港口岸截获输入性病媒生物猫栉首蚤。海关已对这批货物实施熏蒸处理,对堆放货物场地整体实施杀虫处理。
张家港海关工作人员在一批进口棉花中,发现棉包上有类似于跳蚤的黑色昆虫。经张家港海关病媒生物实验室鉴定,捕获昆虫为猫栉首蚤,通过现场实地检查,结合蚤的生态学习性,判定这些蚤为输入性蚤类。为防止疫情传入,海关立即对整批集装箱和货物实施了熏蒸处理,对堆放货物的场地整体实施了杀虫处理。
据海关关员介绍,猫栉首蚤为全球广布种,主要寄生于家猫、野猫、家犬、黄胸鼠等小型哺乳动物,是复殖绦虫的中间宿主,喜吸人血,产生瘙痒、皮损等临床症状。在鼠疫大流行的历史年代,曾从猫栉首蚤体内分离出鼠疫杆菌。当前猫栉首蚤对人的危害,主要是骚扰、吸血和引起严重的皮炎。
古巴绿蠊
2019年,张家港海关首次截获进境有害生物古巴绿蠊,可别小看了这种浑身嫩绿的小昆虫,它俗称“绿香蕉”,对农作物、树植物都有危害。

这只“绿香蕉”是在一批南美的原木集装箱中发现的,后经张家港海关国家口岸卫生处理检测实验室鉴定,该品种为古巴绿蠊(Panchlora nivea)。
2018年,张家港海关全国首次截获7种外来有害生物
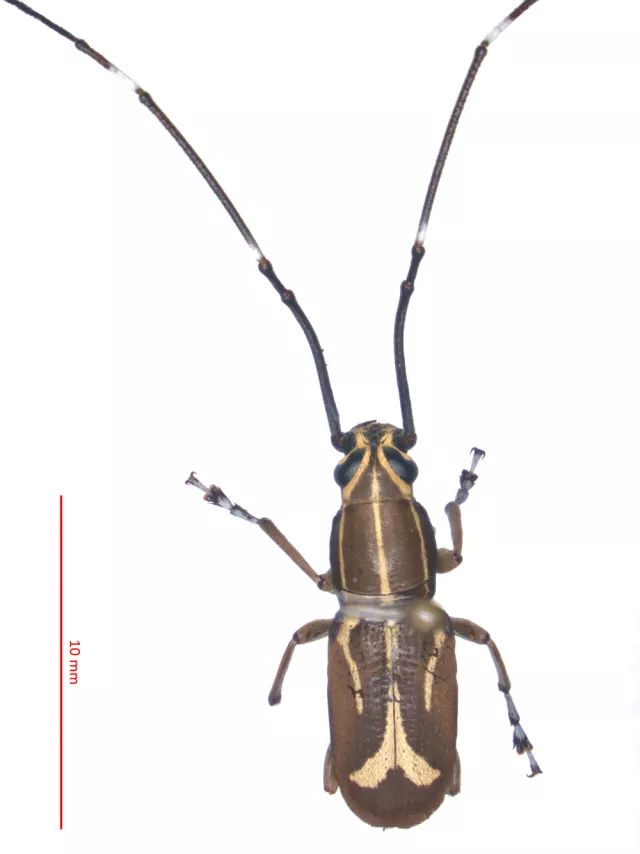
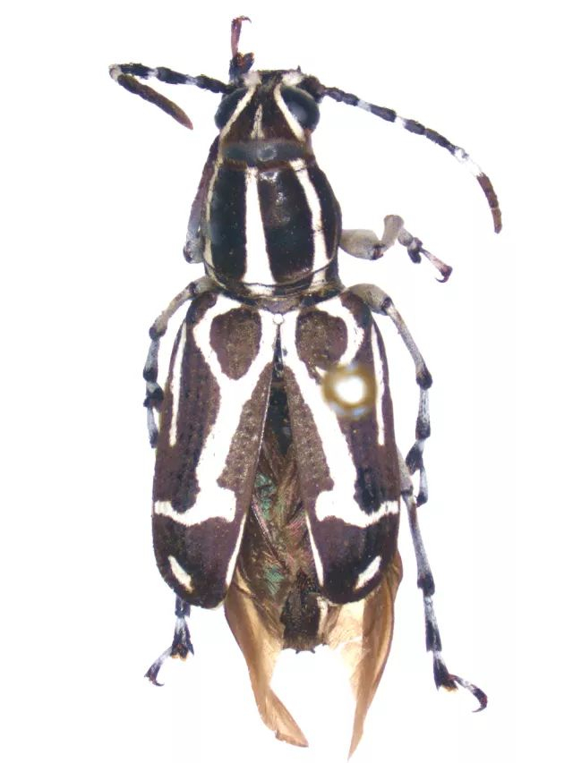
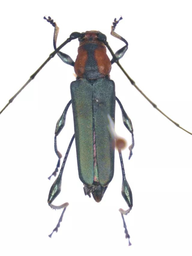
这些原木来自喀麦隆、苏里南、巴布亚新几内亚、赞比亚、哥伦比亚等多个国家。已对这些木材进行了熏蒸除害处理,并加强了后续检疫监管。7种全国口岸首次截获的外来有害生物分别是邻标记天牛、塞里红胸纤角天牛为天牛科,裂斑花金龟、缘斑花金龟为金龟科,火字花角长角象、花角长角象属的Xenocerus barbicornis、三锥象属的Brentus anchorago为象甲科,目前尚无国内分布的报道。
1
天牛科(2种)

这只“绿香蕉”是在一批南美的原木集装箱中发现的,后经张家港海关国家口岸卫生处理检测实验室鉴定,该品种为古巴绿蠊(Panchlora nivea)。
2018年,张家港海关全国首次截获7种外来有害生物
这些原木来自喀麦隆、苏里南、巴布亚新几内亚、赞比亚、哥伦比亚等多个国家。已对这些木材进行了熏蒸除害处理,并加强了后续检疫监管。7种全国口岸首次截获的外来有害生物分别是邻标记天牛、塞里红胸纤角天牛为天牛科,裂斑花金龟、缘斑花金龟为金龟科,火字花角长角象、花角长角象属的Xenocerus barbicornis、三锥象属的Brentus anchorago为象甲科,目前尚无国内分布的报道。
1
天牛科(2种)
中文名:邻标记天牛
拉丁学名:Gnoma affinis
来源地:巴布亚新几内亚
寄主:原木
截获时间:2018.5.11
中文名:塞里红胸纤角天牛
拉丁学名:Ischionodonta serripes
来源地:哥伦比亚
寄主:雨树
截获时间:2018.5.15
天牛科,属于昆虫纲鞘翅目的一个科,为植物的钻蛀性害虫,林、果、桑、茶、棉、麻、木器等均可受其为害,是进境木材上的最主要有害生物之一,全世界已知25000多种,我国记载约2200余种及亚种。
2
花金龟科(2种)

中文名:裂斑花金龟
拉丁学名:Pachnoda fissipunctum
来源地:赞比亚
寄主:染料紫檀原木
截获时间:2018.5.20

中文名:缘斑花金龟
拉丁学名:Pachnoda marginata
来源地:喀麦隆
寄主:虎斑楝原木
截获时间:2018.5.20
花金龟科是金龟子总科的一科,通称花金龟,是一个多具艳丽色彩的日出性类群,广布全球。花金龟科的绝大部分成虫主要危害果树、林木、农作物的花、花卉,其次危害有伤的或成熟的果实。世界已记录2640多种,中国已记录约180余种。
3
花角长角象属(2种)

中文名:裂斑花金龟
拉丁学名:Pachnoda fissipunctum
来源地:赞比亚
寄主:染料紫檀原木
截获时间:2018.5.20

中文名:缘斑花金龟
拉丁学名:Pachnoda marginata
来源地:喀麦隆
寄主:虎斑楝原木
截获时间:2018.5.20
花金龟科是金龟子总科的一科,通称花金龟,是一个多具艳丽色彩的日出性类群,广布全球。花金龟科的绝大部分成虫主要危害果树、林木、农作物的花、花卉,其次危害有伤的或成熟的果实。世界已记录2640多种,中国已记录约180余种。
3
花角长角象属(2种)
中文名:火字花角长角象
拉丁学名:Xenocerus equestris
来源地:巴布亚新几内亚
寄主:原木
截获时间:2018.5.11
花角长角象属,属于鞘翅目象甲总科长角象科的一属,触角不为肘状,短型触角第1节长于第2节,末端3节棒状,长度不超过前胸背板;长型触角丝状,一般超过体长。成虫食叶,幼虫多栖于木质部或食害种子、果实,个别捕食蚧虫,多在花中可见,主要分布于热带。
4
三锥象科(1种)

中文名:火字花角长角象
拉丁学名:Xenocerus equestris
来源地:巴布亚新几内亚
寄主:原木
截获时间:2018.5.11
花角长角象属,属于鞘翅目象甲总科长角象科的一属,触角不为肘状,短型触角第1节长于第2节,末端3节棒状,长度不超过前胸背板;长型触角丝状,一般超过体长。成虫食叶,幼虫多栖于木质部或食害种子、果实,个别捕食蚧虫,多在花中可见,主要分布于热带。
4
三锥象科(1种)
中文名:暂无
拉丁学名:Brentus anchorago
来源地:苏里南
寄主:原木
截获时间:2018.4.24
三锥象科为象甲总科下一科,该科小至中型,体瘦长,体壁光滑,因其头部宛如三锥得名三锥象。此科害虫主要危害边材,大型种与长蠹危害相似,小型种与长小蠹危害相似。全世界已知约1300种,中国种类估计不超过50种,多数产于热带。
新闻多看点:张家港口岸是我国主要的进口阔叶林木材集散地,张家港海关科普基地木材馆,专注于研究外来林木有害生物,及木材材种鉴定
目前,我国进口木材可大致分为两类,一类是热带材和北美材,另外一类是俄罗斯进口木材。
其中热带材和北美材其进口以海运为主。在国内流通的运输方式包括铁路、公路和水路3种方式,但以水运为主。如长江黄金水道的木材运输,以江苏省张家港口岸为主,是我国热带材进口量主要的海运木材进境口岸。张家港口岸主要进口热带原木,来源国主要为马来西亚、加蓬和巴布亚新几内亚,以海运形式进口木材以散装原木为主。到岸后,由内地批发商就地购材,然后以汽运或船运形式将木材(原木)转运到二级批发或零售市场。
2020年,南京海关隶属张家港海关国家材种鉴定与木材检疫重点实验室建成了聚焦濒危木材监管的主题馆——“濒危木材与海关监管”。
张家港海关科普基地,建有全国木材标本馆藏量最大的木材馆,这里有世界最重的南美洲蛇纹木,有世界最轻的美洲轻木,以及世界最贵的中国海南黄花梨。
2020年12月,张家港海关参与组建木材标本国家创新联盟。该联盟由中国林业科学研究院木材工业研究所牵头组建,中国科学院植物研究所、南京林业大学、安徽农业大学、浙江农林大学等42家单位共同组建,其中南京海关所属张家港海关综合技术中心为联盟副理事长单位。
张家港海关科普基地木材馆——木材标本墙 。图/张家港海关
张家港海关科普基地木材馆——原木墙 。图/张家港海关张家港海关综合技术中心下属国家材种鉴定与木材检疫重点实验室,专注于研究外来林木有害生物及木材材种鉴定,致力于为全国海关提供精准权威的技术服务。实验室历经30多年积淀发展,现有面积2000平方米,拥有国内最大的进口木材标本库,馆藏4800余种14万余号进口木材标本。