普陀山“天价便饭”事件反转,白岩松:这黑的还真不是店!
中国市场监管报
日前有网友爆料称,在普陀山景区一家饭店里随便吃一顿就花了1900多元,认为遇到了黑店。饭店的员工却说投诉人及其同伴点了很多菜,其中包括一些海鲜和酒,称自家饭店一直明码标价,还可以提供菜单证明。
这件事经过发酵后登上热搜,一时间“青岛大虾卷土重来”等论调被频频热议。
近日该事件出现反转,普陀山市场监管部门介入调查后发现,店家相关商品进货票据齐全,菜品明码标价、斤两正常,舆情得以及时平息。
一顿饭收1900元?
饭店老板:明码标价,他们吃的海鲜大餐
爆料女士:我们随便吃一顿他要收我们1900块钱,黑店啊,不要来这个店。
视频中说话的女子是投诉人,嘴里说的“黑店”是浙江省舟山市普陀山景区的一家私房菜饭店,女子称自己和朋友在这里随便吃了一顿就花了1900元。
饭店的工作人员却认为被冤枉了,店里是明码标价,也有菜单,而且工作人员称这群人吃的是一顿海鲜加啤酒的大餐,10个菜,黄酒加啤酒喝了20瓶,并非“便饭”。
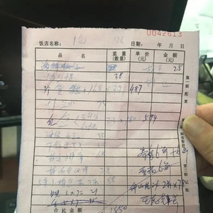
私房菜饭店店长曾女士:他们点了炒螺蛳,梭子蟹3个(168一斤)等,青岛啤酒12瓶、雪花6瓶、舟山老酒水2瓶,都是明码标价,价格全部是透明的,点菜的时候都跟他们说好的。
举报“黑店”的消费者一行点的菜单详情
私房菜饭店张老板称,那天顾客是7个人,点餐的时候很豪爽。
张老板:点菜的时候很爽气,点好上菜,酒也上了,可能他们喝了不少酒,感觉有点贵了吧。
店长曾女士告诉记者,店里当天还送了一个菜,并且优惠了近100元,但顾客想让他们打8折,被拒绝后,顾客就发了视频说他们是“黑店”。
店长曾女士:他们吃了1931元,实付1850元,顾客要求付1500元,我们不同意然后他们就付了1850元走了。他们出去之后就拍了我们店的门牌广告(的视频),(说我们是黑店)放到了网上。
这条所谓“黑店”视频一经发出就迅速登上热搜,被称为“天价便饭”,因为外卖软件上有饭店老板的联系方式,饭店的张老板还收到了很多辱骂信息和骚扰电话,店长也觉得过往的行人会对自己指指点点,饭店生意也差了许多。
店长曾女士:损失就是我店的名誉被抹黑了,生意也不好了。客人路过的时候都要抬头看看我们这个店,指指点点的,我在门口都不好意思招徕客人,感觉人家看我们的目光不对劲。
官方介入调查:明码标价,斤两正常
饭店老板:计划起诉视频拍摄者
事情经过短暂发酵后,普陀山市场监管部门介入调查,并通报了详细情况:
普陀山市场监督管理局工作人员:就我们目前调查的情况来看,店家明码标价,相关的菜单都写得比较清楚,我们对现场的(称重)过程也都检查过,目前是没问题的。
普陀山市场监管分局调查结果
目前,普陀山市场监督管理局在其官方微博也发布了联系电话,希望能够和消费者取得联系。饭店的张老板告诉记者他在精神和心理上受到了伤害,打算起诉视频的拍摄者。
张老板:好多网友打电话过来恶意辱骂我,这两天电话接个不停,现在调查清楚了,下一步打算起诉视频的(拍摄者)。
白岩松:自己不痛快就说人家是黑店
这黑的还真不是店
在11月21日播出的《新闻周刊》节目中,白岩松也就此事发表了看法:在互联网上想发表批评的意见很方便,但如果不是站在事实基础上的批评,被打脸可能也很方便。
可能是天价饭这两年把很多人给吓着了,于是这帖子都上了热搜,当地市场监管部门迅速进店调查,结果发现都是明码标价。例如,一斤梭子蟹在某生鲜超市上都超过100元,一斤红鱼198元还便宜到了180元钱,上哪儿说理都不能说人家是黑店。
还好,很多网友的眼睛是雪亮的,嘲讽的对象变成了发帖子的游客。其实这顿饭吃得不随便,帖子却发得有些随便。只要自己不痛快,就敢说人家是黑店,幸亏市场监管部门和网友共同来做主,这黑的还真不是店。
来源:央视网、央视新闻