月亮湾3号五证及不利因素进行线上公示
乐居财经
苏州工业园区俐马房地产有限公司营业执照公示

月亮湾3号 三期建设工程规划许可证



月亮湾3号 三期土地使用权证



月亮湾3号 三期建设用地规划许可证

月亮湾3号 三期建筑工程施工许可证

本项目不利因素的告知
●卖方在此告知买方:
1、配电房:工作运行时产生的噪音可能会对周边环境带来影响。
本项目配电房的位置详见公示的小区总平示意图。
2、商业配套:商业经营活动可能会对临近住户带来一定影响。
本项目内的商业用房的位置详见公示的小区总平示意图。
3、本项目内的物业用房的位置详见公示的小区总平示意图。
4、垃圾房:工作期间可能会对周边环境及住宅带来一定影响。
本项目内垃圾房的位置详见公示的小区总平示意图。
5、小区次出入口:行人出入可能会对临近的住户带来一定影响。
本项目次出入口的位置详见公示的小区总平示意图。
6、小区57幢楼屋顶有消防稳压泵/水箱:运行时产生的噪音可能会对周边住户或相邻住户带来影响。
7、小区燃气调压箱/站:运行时产生的噪音可能会对周边环境及住宅住户带来影响。
本项目燃气调压箱/站的位置详见公示的小区总平示意图。
8、地下车库通风竖井:运行时产生的噪音及热风可能会对周边环境及住宅住户带来影响。
本项目地下车库通风竖井的位置详见公示的小区总平示意图。
9、小区地下车库出入口:车辆出入时可能会对临近住户带来一定影响。
本项目地下车库出入口的位置详见公示的小区总平示意图。
10、小区主出入口:车辆、行人出入时可能会对临近住户带来一定影响。
本项目主出入口的位置详见公示的小区总平示意图。
11、本项目58幢、59幢房屋位于小区南面,靠近市政道路,根据规划要求该58、59幢房屋的南阳台均为封闭式阳台,因此58、59幢楼栋的每套房屋的整个南阳台面积均计算产证面积,而非按一半计算产证面积。
12、关于本项目房屋的门牌编号和所属自然层差异的问题:小区公安门牌编号对4层(含4层)以上和04室作了相应处理,自然层跟通常理解的门牌号所对应的楼层会有差异,例如门牌号为501的房屋通常理解其所属自然层为5层,但实际上其所属自然层为4层,601其所属自然层为5层,以此类推;同时本项目楼栋为两个单元4户的,只存在01室、02室、03室、05室,不存在04室的编号;01、02室为一个单元,03、05室为一个单元。
(鉴于本项目在出售时已完成竣工验收,上述告知内容涉及的相关事项,项目现场已客观存在,一切以项目现场的实际情况为准,如上述的文字表述和小区总平示意图示意与项目实际情况不一致的,也以项目现场的实际情况为准。)
●本项目红线外的现状请购买方在购买前至现场予以察看确认。另外,因卖方无法控制的原因,该小区规划图红线外及周边可能出现包括但不限于新项目建设、市政工程建设等不可预见的变化,对红线外周边环境、附近地块的具体规划用途、开发节奏、密度和覆盖率等状况,卖方无法控制,最终以政府公布的规划内容为准。
●本告知的说明内容,仅为卖方的友善提醒,未必包含本项目红线内、外环境的所有信息或政府的变更信息,不作为销售承诺,买方应理解是其购买房屋应当承担的一种风险。卖方在制定房屋销售价格时,已充分考虑上述可能的不利影响。
●因条件所限和不同主体之间的认知差异, 本公司未必能对所有不利因素一一提示, 敬请您在选择购买房屋前,亲临现场,对本项目红线内外情况仔细考虑后再做购买决策。
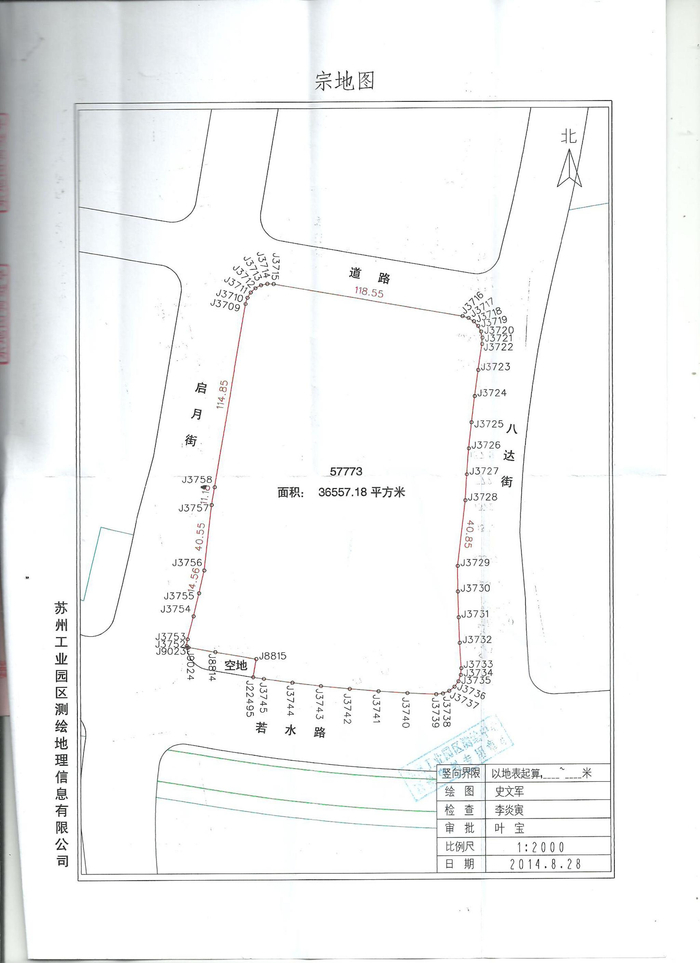
月亮湾3号 三期总平面示意图
附:苏府〔2016〕150号《苏州市人民政府印发关于进一步加强全市房地产市场调控的意见的通知》
苏州市人民政府印发关于进一步加强全市房地产市场调控的意见的通知
苏府〔2016〕150号
各市、区人民政府,苏州工业园区、苏州高新区、太仓港口管委会;市各委办局,各直属单位:
《关于进一步加强全市房地产市场调控的意见》已经市政府同意,现印发给你们,请结合实际,认真贯彻落实。
苏州市人民政府
2016年10月3日
关于进一步加强全市房地产市场调控的意见
为进一步促进房地产市场持续平稳健康发展,合理引导住房需求,抑制投资、投机性购房,稳定市场预期,根据国家“分类调控、因城施策”的总要求,经市政府研究,在苏府〔2016〕119号文件“苏十五条”政策基础上,制定进一步调控措施。现就有关意见通知如下:
一、进一步完善土地出让条件。按照地块确定土地出让条件和建设要求,明确地块公建配套、人才公寓等配建要求;合理设置住宅用地出让市场指导价以及一次报价区间,对超过市场指导价的住宅用地,严格按照苏府〔2016〕119号文件规定的销售条件执行。为保证商品住宅建设品质,推动土地带设计方案出让,并可采取限价销售作为招拍挂条件。加大保障房(定销商品房)和人才公寓的上市力度。
二、进一步调整商品住宅购买政策。非本市户籍居民家庭申请购买第1套住房时,应提供自购房之日起前 2 年内在苏州市区(含吴江区)、昆山市、太仓市累计缴纳 1 年及以上个人所得税缴纳证明或社会保险(城镇社会保险)缴纳证明;暂停对已拥有1套及以上的非本市户籍居民家庭出售新建商品住房和二手住房;暂停向拥有3套及以上的本市户籍居民家庭出售新建商品住房和二手住房;房地产开发企业和房地产经纪机构不得向不符合条件的购房人出售商品住房。购房人需提供现有房屋情况相关证明材料并出具书面承诺。违反上述规定的,房地产交易和不动产登记部门不予办理相关手续。
苏州市引进的各类外来人才,凭有关证明文件参照执行本市户籍居民购房政策。
三、进一步完善差别化住房信贷政策
根据银发〔2015〕305号和银发〔2016〕26号文件规定,实施限购措施城市首次购房和首套房最低首付款比例不低于30%,二套房最低首付款比例不低于40%。按照市政府最新调控要求,经江苏省市场利率定价自律机制商定,对相关差别化住房信贷政策作出如下进一步要求。
(一)居民家庭首次购买普通住房(指从未购置过住房),按照国家政策,最低首付款比例不低于30%。
(二)对于有购房贷款记录、但申请贷款购房时实际没有住房的居民家庭;有1套住房、但没有购房贷款记录的居民家庭或相应购房贷款已结清的居民家庭,申请商业性个人住房贷款购买普通住房的最低首付款比例由30%调整为50%。
(三)居民家庭拥有1套住房且相应购房贷款未结清,再次申请商业性个人住房贷款购买普通住房的最低首付款比例由50%调整为80%,对于拥有两套及以上住房的居民家庭,暂停发放商业性个人住房贷款。
四、从严控制公积金贷款。职工家庭首次使用公积金贷款的,贷款最高额度保持不变;职工家庭第二次使用公积金贷款的,家庭贷款最高额度从现行70万元调整至50万元,单人贷款最高额度从45万元调整至30万元;职工家庭第二次使用公积金贷款的,首付款比例从不低于住房总价的30%调整为不低于住房总价的50%;职工家庭第二次使用公积金贷款的,从按借款人个人账户余额之和的10倍计算可贷额度,调整为按借款人个人账户余额的6倍计算可贷额度;暂停受理职工家庭申请个人住房公积金贴息贷款(增量公转商)业务。
五、进一步加强商品房价格管理。房地产开发企业应当科学合理确定申报价格,经价格部门严格成本核算确定备案价格后,一次性公开全部准售房源及每套房屋价格,实际销售价格不得高于备案价格。同一批次分批销售时,不得提高销售价格。下一批次备案价格不得高于上一批次同类型房屋成交均价。
六、进一步加强房地产市场监管。住建、国土、规划、物价、公安、工商、税务、金融等相关部门要切实履行职责,加强联合执法,对房地产开发企业及中介机构囤积房源、捂盘惜售、恶意炒作、哄抬房价、虚构价格、变相涨价、价外加价或收取其他费用,以及违反商品住房销售“一价清”和明码标价制度,不按规定执行价格申报及备案制度等违规违法行为,根据不同情节,分别采取停止价格申报和预售证发放、不予网签销售、限制参与土地竞拍等处罚或处理措施,并将其违规违法行为纳入不良信用记录,公开曝光。公安部门依法对违法犯罪行为加大查处力度。
本意见自2016年10月4日起实施。本市有关政策与本意见不一致的,以本意见为准。政策执行时间,购买新建商品住房、二手住房以及申请个人住房按揭贷款统一以网签合同时间为准。10月4日前已签订认购协议且已支付部分房款的预售房源除外。
本意见适用于苏州市区(含吴江区)、昆山市、太仓市。张家港市、常熟市根据本地实际,加快制定政策意见,报经市政府备案后实施。
(最新开盘播报请关注“苏州新浪乐居”订阅号)